05-04-2026 22:46
Lothar Krieglsteiner
on wood of Ceratonia, Algarve, 3.4.2026.The color
15-05-2026 13:33
Sylvie Le GoffBonjour à tousJe serais très reconnaissante enve
16-03-2011 14:31
roman vargas albertoHi. I would like some opinion about this Peziza
14-05-2026 05:36
Ethan CrensonHi all, I haven't paid much attention to Lachnu
10-05-2026 23:17
Andreas Gminder
Hello,today we found in a moist steep decidous for
11-05-2026 12:32
Bernard CLESSE
Pourriez-vous m'aider à identifier cette héloti
13-05-2026 15:26
François Freléchoux
Bonjour,Voici une récolte faite il y a quelques j
12-05-2026 15:41
Nicolas VAN VOOREN
Dear Ascolovers, especially interested in Pezizale
13-05-2026 12:05
Thierry Blondelle
Bonjour à tous,J'aimerais avoir confirmation de c
28-04-2026 20:07
Lothar Krieglsteiner
... on twig in the air at standing Ceratonia siliq
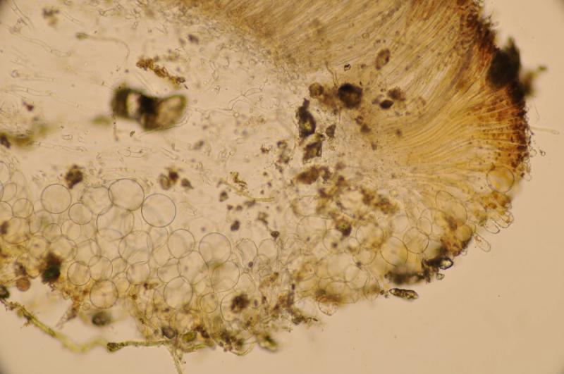
Hi againExactly at the same place than my previous species (Aragüés del Puerto) that I just sent, even in the same square centimeter, and with an almost identical macro appearance, this Pachyella grew. At first glance it is impossible to differentiate them, but the micro does not lie.
Exctal excipulum with textura globulosa finished in a cylindrical-claviform appendix. Margin with chains of 2-3 subglobose cells and cylindrical-claviform appendix. Medullary excipulum with very lax (gelled) intricate texture. Paraphysis with large brown pigment gutules, slightly thickened at the apex. Uniseriate octosphoric asci, with croziers and IKI -. Ellipsoidal spores, with 2 large LBs, apparently finely rough in water, but virtually imperceptible in cotton blue, of (18.3) 18.8 - 20.1 (20.8) × (10.8) 11.2 - 12.1 (12.3) µm; Q = 1.6 - 1.78 (1.8); N = 50; Me = 19.5 × 11.6 µm; Qe = 1.7
With this spore size, in the literature I only see Pachyella adnata, but the spores have large spines. Macroscopically reminds me to P. celtica, but paraphysis, asci, spore size, etc. do not fit. It also looks like Peziza subisabellina, but the micro has nothing to do with it. Perhaps a simply P. babingtonii growing on land?
Thank you.
















