21-04-2026 13:36
Gernot FriebesHi,I am out of ideas for this one. I collected Sal
21-04-2026 13:19
Gernot FriebesHi,this Lophodermium on Typha has ascospores measu
21-04-2026 13:05
Gernot FriebesHi,this hyphomycete feels familiar but I was not a
20-04-2026 22:00
These pale yellow, hairy ascos were growing on cul
19-04-2026 21:23
Steve ClementsBonjour, I found this anamorphic fungus on old pl
19-04-2026 20:46
Steve Clements1 mm diameter approx spherical conidiophores on pl
12-04-2026 17:56
Hardware Tony
Found on dead stems in February earlier this year
17-04-2026 19:16
Hi to everybodyI would appreciate any assistance r
14-04-2026 05:32
Ethan CrensonHi all, A few weeks back a friend pointed out som
17-04-2026 15:14
Bruno Coué
Bonjour.Récoltes du 16/04/2026, sur feuilles mort
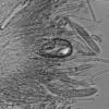
Small hairy discs on Castanea
Marc Detollenaere,
31-01-2026 09:17
Dear Forum,On decorticated wood of Castanea,I found some small hairy grey discs.
Asci measured 42x6µ, the spores were hyaline 6x2µ and contained a small guttule at both sides. Hairs were also hyaline, smooth,cylindric, septate and measured 55-60µ.
Any ideas?
Marc
Kosonen Timo,
31-01-2026 11:30
Re : Small hairy discs on Castanea
looks like O. transiens. Check for dextrinoid hair apex.
Timo
Timo
Marc Detollenaere,
31-01-2026 17:04
Kosonen Timo,
31-01-2026 17:23
Re : Small hairy discs on Castanea
ok. Well, with that ecology & spore size & multiseptate hairs ...Sorry, I dont have good suggestions. Another "Hyaloscyphaceae"... Possible genera are Mimicoscypha, Olla (still), Resinoscypha and Psilocistella or something in between. But the small(ish) spores lead me to think of transiens. Looks like there are no dextrinoid reactions anywhere else either (excipulum), sometimes amyloid "nodules" somewhere. Also worth checking: does anything stain strongly blue with cotton blue.
cheers
Timo
cheers
Timo
Marc Detollenaere,
01-02-2026 09:31
Re : Small hairy discs on Castanea
Could Psilocistella quercina be a match?
Kosonen Timo,
01-02-2026 11:05
Re : Small hairy discs on Castanea
A very good suggestion!
t
t






