21-04-2026 13:36
Gernot FriebesHi,I am out of ideas for this one. I collected Sal
21-04-2026 13:19
Gernot FriebesHi,this Lophodermium on Typha has ascospores measu
21-04-2026 13:05
Gernot FriebesHi,this hyphomycete feels familiar but I was not a
20-04-2026 22:00
These pale yellow, hairy ascos were growing on cul
19-04-2026 21:23
Steve ClementsBonjour, I found this anamorphic fungus on old pl
19-04-2026 20:46
Steve Clements1 mm diameter approx spherical conidiophores on pl
12-04-2026 17:56
Hardware Tony
Found on dead stems in February earlier this year
17-04-2026 19:16
Hi to everybodyI would appreciate any assistance r
14-04-2026 05:32
Ethan CrensonHi all, A few weeks back a friend pointed out som
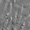
cf. Chaetospermum on Xylaria - 303631739
Danny Newman,
07-01-2026 10:05
cf. Chaetospermum on XylariaCosby Campground, Great Smoky Mountains National Park, Cocke County, Tennessee, USA
https://www.inaturalist.org/observations/303631739
Collected during the 2025 Richard P. Korf Memorial North American Ascomycete Foray (aka "The Korf Foray), held at the Appalachian Highlands Science Learning Center in Purchase Knob, North Carolina.
no sequence available
photo credits: Emma Dombkowski & Rees Cronce
micrographs: Emma Dombkowski & Patrick Verdier
Spores:
(18.7) 18.9 - 20.9 (21.4) × (2.8) 3.1 - 4.4 (4.6) µm
Q = (4.2) 4.6 - 6.5 (7.2) ; N = 20
Me = 20 × 3.7 µm ; Qe = 5.4













