27-02-2026 11:21
Yannick Mourgues
Hi to all. Here is a specie that can may be relat
18-03-2026 13:09
Khomenko Igor
I recently examined Celtis occidentalis branches
18-03-2026 18:42
Gonzalez Garcia MartaI have collected some lyre-shaped apothecia on the
18-03-2026 17:22
Katarina PastircakovaHi there,I'm looking for the following literature:
27-11-2025 15:41
Thomas LæssøeSpores brownish, typically 4-celled; 26.8 x 2.4;
18-03-2026 11:52
Thomas Læssøehttps://svampe.databasen.org/observations/10493688
11-03-2026 17:36
Michel Hairaud
Bonjour, Je cherche des indices pour cette réc
17-03-2026 10:40
Martine Vandeplanque
Bonjour à tous.Chaque année en mars ou avril, il
17-03-2026 19:41
Bernard CLESSE
Bonsoir à toutes et tous,Pourriez-vous m'aider à
12-03-2026 19:44
Hi to everybody.Can you give me any suggestions ab
Cercophora?
Martin Bemmann,
21-07-2013 22:26
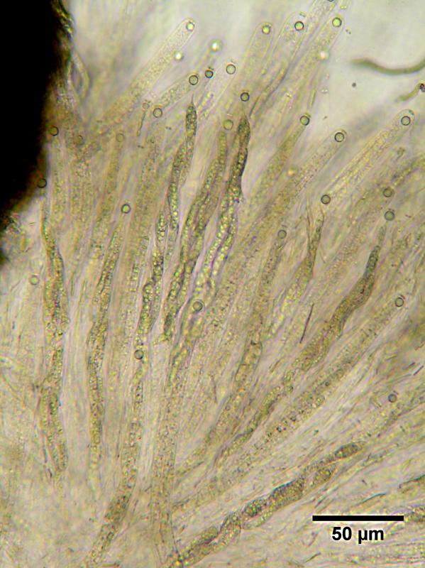
Hi all,I do have here a fragment of a branch of Sorbus aucuparia, decorticated and with white rot, lying on the ground in a moist environment at about 1050 m height.
I recorded Lasiosphaeria ovina, Hyalorbilia inflatula and a Hypoxylon (maybe cohaerens).
Between the apothecia of the Hyalorbilia I saw another fungus whose conspicious spores were present in the slides of the Hyalorbilia as well.
My guess is a Cercophora. But isn't this a coprophilous genus? Mature spores seem to have an olive-green sporebody.
Here are some pictures:
Best regards
Martin
Bernard Declercq,
22-07-2013 10:12
Re : Cercophora?
Hi Martin,
The spores meet Immersiella caudata, but, as far as I know, the subapical globulus of this species should be echinulate what I did not observe on your photos. Maybe, Andy Miller will have a better idea.
Best regards,
Bernard
The spores meet Immersiella caudata, but, as far as I know, the subapical globulus of this species should be echinulate what I did not observe on your photos. Maybe, Andy Miller will have a better idea.
Best regards,
Bernard
Peter Welt,
22-07-2013 11:14
Re : Cercophora?
Lieber Martin,
Cercophora ist nicht nur coprophil.
Sieh hier: http://www.dgfm-ev.de/sites/default/files/ZM452209Hilber.pdf
Gruß Peter
Cercophora ist nicht nur coprophil.
Sieh hier: http://www.dgfm-ev.de/sites/default/files/ZM452209Hilber.pdf
Gruß Peter
Martin Bemmann,
22-07-2013 21:41
Re : Cercophora?
Thank you Bernard and Peter!
C./I. caudata seems to be a good path since half mature spores have a size (w/o appendices) of 45 µm with a width of 6 to 8 µm.
I will tick it off as such (caudata) unless Andy has a different argument.
Bernard: where is this information on an echinulate globulus?
Would be nice if someone has Lundquist's Nordic Sordariaceae (1972) at hand...
Regards
Martin
C./I. caudata seems to be a good path since half mature spores have a size (w/o appendices) of 45 µm with a width of 6 to 8 µm.
I will tick it off as such (caudata) unless Andy has a different argument.
Bernard: where is this information on an echinulate globulus?
Would be nice if someone has Lundquist's Nordic Sordariaceae (1972) at hand...
Regards
Martin
Bernard Declercq,
23-07-2013 11:38
Re : Cercophora?
Hi Martin,
I have several collections of Immersiella 'caudata'. But I must admit that I decribed the latest ones only in detail and observed caudate slightly verruculose spores, up to 7-septate, and finely echinulate subapical globuli. Maybe, this taxon differs from the real Immersiella caudata. In Hilber & Hilber (1979) smooth subapical globuli are represented but the type material was apparently not studied. So for the moment being, real identity and variability are unclear to me.
Bernard
I have several collections of Immersiella 'caudata'. But I must admit that I decribed the latest ones only in detail and observed caudate slightly verruculose spores, up to 7-septate, and finely echinulate subapical globuli. Maybe, this taxon differs from the real Immersiella caudata. In Hilber & Hilber (1979) smooth subapical globuli are represented but the type material was apparently not studied. So for the moment being, real identity and variability are unclear to me.
Bernard
Martin Bemmann,
24-07-2013 20:51
Re : Cercophora?
Dear Bernard,
meanwhile I have seen Lundquist's description. He gives a large picture of the apical globulus that is entierly smooth. Maybe yours is another taxon. Lundquist was not aware of more then 3 lignicolous species of which two of them he just named C. sp. 1 and 2. For the latter he describes the globulus as "verrucose" but he does not give pictures or quotes a published specimen.
Best regards
Martin
meanwhile I have seen Lundquist's description. He gives a large picture of the apical globulus that is entierly smooth. Maybe yours is another taxon. Lundquist was not aware of more then 3 lignicolous species of which two of them he just named C. sp. 1 and 2. For the latter he describes the globulus as "verrucose" but he does not give pictures or quotes a published specimen.
Best regards
Martin







