13-02-2026 03:30
Hello! I found these immersed perithecia on a stic
13-02-2026 18:05
Margot en Geert VullingsOn February 9, 2026, we found these small hairy di
12-02-2026 21:34
patrice CallardBonjour, la face inférieure des feuilles ce certa
11-02-2026 22:15
William Slosse
Today, February 11, 2026, we found the following R
12-02-2026 14:55
Thomas Læssøehttps://svampe.databasen.org/observations/10581810
11-02-2026 19:28
Lothar Krieglsteiner
on small deciduous twig on the ground in forest wi
25-04-2025 17:24
Stefan BlaserHi everybody, This collection was collected by JÃ
10-02-2026 17:42
Bernard CLESSE
Bonjour à toutes et tous,Pourriez-vous me donner
Unknown near Pseudohalonectria
Tomaz Vucko,
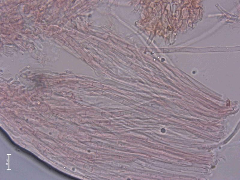
13-02-2026 03:30
Ascospore measurements are:
(41.8) 46.2 - 52.9 (53.8) × (11.3) 12.3 - 14.9 (15.7) µm
Q = (3) 3.1 - 4.2 (4.4) ; N = 32
Me = 49.1 × 13.8 µm ; Qe = 3.6
February 2026, alluvial forest, Slovenia.
Alain GARDIENNET,
13-02-2026 07:25
Re : Unknown near Pseudohalonectria
Hi Tomaz,
Welcome to the world of freshwater fungi, with several undescribed species. I don't know that one.
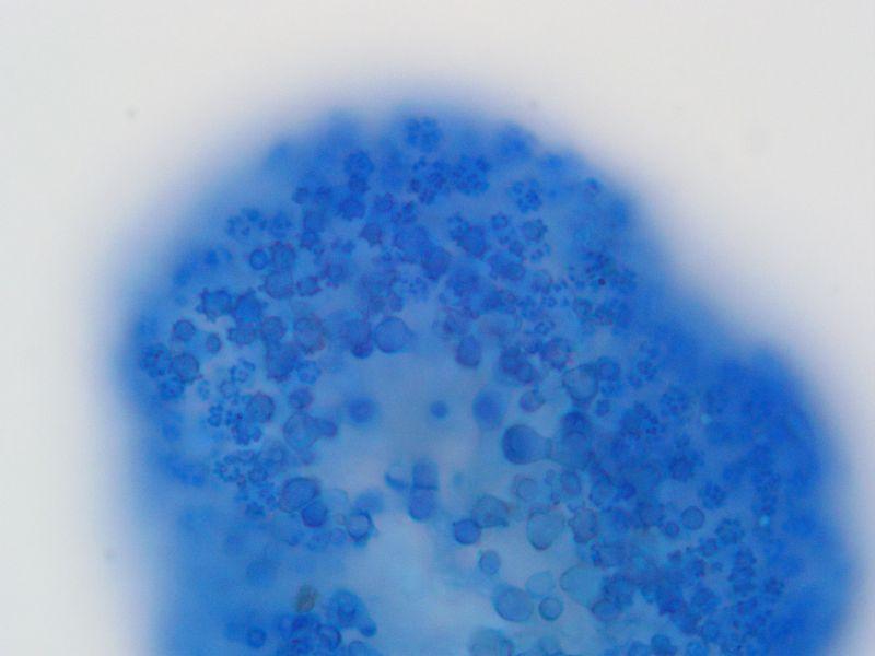
Your analysis is already well advanced; you have noticed that the spores of this fungus are even larger than those of Annulusmagnus triseptatus. You need to look closely at other characteristics, such as the shape and size of the apical apparatus (too small for the Annulusmagnus genus), which is generally clearly visible in Congo red, or the thickness and composition of the peridium. One of the characteristics of your fungus is that it is submerged and resembles Pseudohalonectria. You managed to see that there were two fungi, which is remarkable.
You did a great job in any case, well done!
I don't even have a genus name to suggest, but it's been a few years since I've looked closely at all the publications about freshwater fungi. Let's hope another opinion.
Alain
Welcome to the world of freshwater fungi, with several undescribed species. I don't know that one.
Your analysis is already well advanced; you have noticed that the spores of this fungus are even larger than those of Annulusmagnus triseptatus. You need to look closely at other characteristics, such as the shape and size of the apical apparatus (too small for the Annulusmagnus genus), which is generally clearly visible in Congo red, or the thickness and composition of the peridium. One of the characteristics of your fungus is that it is submerged and resembles Pseudohalonectria. You managed to see that there were two fungi, which is remarkable.
You did a great job in any case, well done!
I don't even have a genus name to suggest, but it's been a few years since I've looked closely at all the publications about freshwater fungi. Let's hope another opinion.
Alain
Tomaz Vucko,
13-02-2026 12:18
Re : Unknown near Pseudohalonectria
Hi Alain.
Thanks for taking time to have a look at my photos. I guess I was also a bit lucky with discovering that there were two species by taking a random sample and finding these ascospores. I might attempt some more microscopy in the evening to try getting some more data, like perithecia section. Interestingly I randomly looked at some photographs of Pseudohalonectria now online and stumbled uppon a species called Pseudohalonectria hampshirensis which seems to be kinda similar in a way. That would also explain why the very similar, pretty much indistinguishable, macro appearance with spore deposits being almost exactly same color as the Pseudohalonectria. I wonder if they are related…
All the best!
Thanks for taking time to have a look at my photos. I guess I was also a bit lucky with discovering that there were two species by taking a random sample and finding these ascospores. I might attempt some more microscopy in the evening to try getting some more data, like perithecia section. Interestingly I randomly looked at some photographs of Pseudohalonectria now online and stumbled uppon a species called Pseudohalonectria hampshirensis which seems to be kinda similar in a way. That would also explain why the very similar, pretty much indistinguishable, macro appearance with spore deposits being almost exactly same color as the Pseudohalonectria. I wonder if they are related…
All the best!
Alain GARDIENNET,
13-02-2026 21:28
Re : Unknown near Pseudohalonectria
The species you mention (which is different from yours), and the other recently published species discovered in recent years, prove that this genus is not so simple and still poorly understood, assuming that it is a single genus...
Your discovery deserves to be sequenced. I encourage you to continue exploring the wonderful and still little-known world of freshwater fungi.
Alain
Your discovery deserves to be sequenced. I encourage you to continue exploring the wonderful and still little-known world of freshwater fungi.
Alain
Tomaz Vucko,
14-02-2026 02:52
Re : Unknown near Pseudohalonectria
Adding some freshly taken micrographs. Sure looks like it's Pseudohalonectria related. Very interesting that 2 species shared the same stick. No wonder I couldn't tell the two apart just with hand lens. Though ostiolar neck does seem to be shorter as with the other species I found near.






































