20-02-2026 18:47
Marc Detollenaere
Hello Forum,On rotten wood of Fagus, I found some
07-02-2023 22:28
Ethan CrensonHello friends, On Sunday, in the southern part of
19-02-2026 17:49
Salvador Emilio JoseHola buenas tardes!! Necesito ayuda para la ident
19-02-2026 13:50
Margot en Geert VullingsWe found this collection on deciduous wood on 7-2-
16-02-2026 21:25
Andreas Millinger
Good evening,failed to find an idea for this fungu
08-12-2025 17:37
Lothar Krieglsteiner
20.6.25, on branch of Abies infected and thickened
17-02-2026 17:26
Nicolas Suberbielle
Bonjour à tous, Je recherche cette publication :
Nectriopsis oropensoides on Fagus?
Marc Detollenaere,
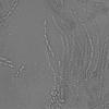
20-02-2026 18:47
Hello Forum,On rotten wood of Fagus, I found some orbicular ascomata on a white subiculum. No underlying fungus was seen.
Spores were hyaline,verrucose-spinulate and measured 7.5-8x3µ. They were 1-septate.
Could anyone confirm that it is N oropensoides?
Many thanks in advance
Marc





