16-03-2011 14:31
roman vargas albertoHi. I would like some opinion about this Peziza
14-05-2026 05:36
Ethan CrensonHi all, I haven't paid much attention to Lachnu
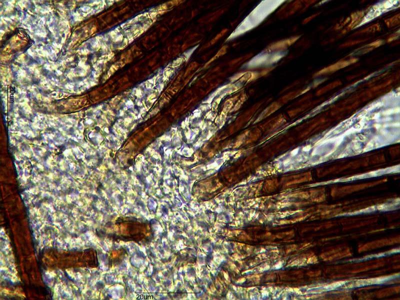
10-05-2026 23:17
Andreas Gminder
Hello,today we found in a moist steep decidous for
11-05-2026 12:32
Bernard CLESSE
Pourriez-vous m'aider à identifier cette héloti
13-05-2026 15:26
François Freléchoux
Bonjour,Voici une récolte faite il y a quelques j
12-05-2026 15:41
Nicolas VAN VOOREN
Dear Ascolovers, especially interested in Pezizale
13-05-2026 12:05
Thierry Blondelle
Bonjour à tous,J'aimerais avoir confirmation de c
28-04-2026 20:07
Lothar Krieglsteiner
... on twig in the air at standing Ceratonia siliq
27-04-2026 20:52
Lothar Krieglsteiner
Found on hanging tiwg of Olea europaea in dried-ou
11-05-2026 20:22
Lothar Krieglsteiner
on attached twig of standing Ficus caricaquite uns
Hola a todos.







